開成町中之名売地

-

神奈川県足柄上郡開成町中之名276-3

小田急小田原線「開成」駅徒歩25分

価格
-
土地面積(坪数)
-(-)
所在地
神奈川県足柄上郡開成町中之名276-3
築年
-(-)
交通

小田急小田原線開成」駅 徒歩25分

開成町中之名売地の基本情報

物件名
開成町中之名売地
価格
-
土地面積
-
築年月
-(-)
総区画数
-
所在地
神奈川県足柄上郡開成町中之名276-3
交通

小田急小田原線開成」駅 徒歩25分

開成町中之名売地の詳細情報

設備条件
設備(その他)
    -
土地権利
所有権
国土法届出
不要
用途地域
第二種低層住居専用
区画数
- / -
管理形態
-
管理員の勤務形態
-
管理会社
-
取引態様
仲介
引渡し
相談
開発許可番号
-
備考
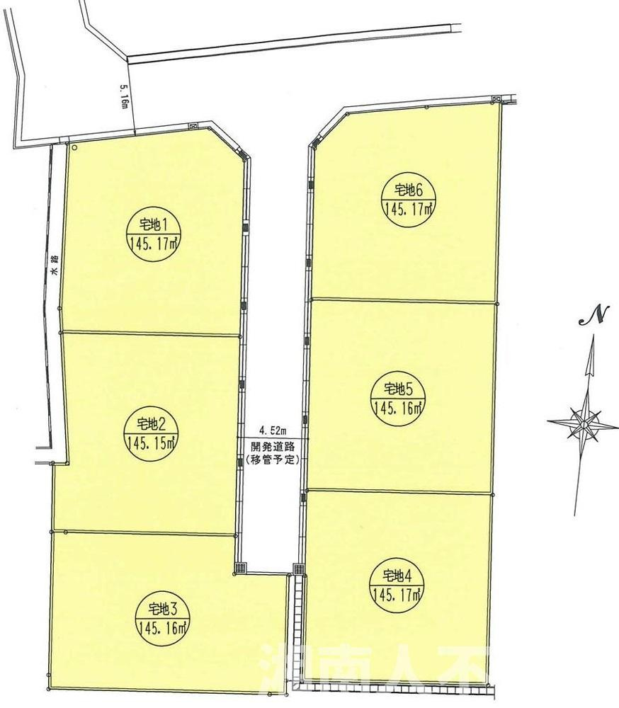
こだわりポイント満載の開成町中之名売地◎こちらの売地はニーズも高い土地です◎建築条件なしなので、好きな業者や間取りを自分で選ぶことができます◎土地面積は145.17㎡(公簿)でイチオシ◎不動産探しから購入、そしてアフターフォローまで当社が親切丁寧にサポートいたします◎地元のことを知り尽くしているスタッフの揃う当社へぜひお任せください◎ご連絡をお待ちしております(^^)

開成町中之名売地のコメント(おすすめポイント)

ぜひ一度見ていただきたい、「開成町中之名売地」です!土地面積は145.17㎡(公簿)あります!建築についてじっくり考えられるというメリットのある建築条件なし!周辺環境の良い売地ですので、土地購入をご検討の方におすすめです!地元の情報網を活かし、タイムリーな不動産情報をお客様へお届けしております!あなたの夢を叶える不動産探しは、ぜひ当社にお任せください(^^)

よく見られている物件

  1. 藤沢市石川1丁目

    - (124.10㎡)

    2,350万円

  2. 小田原市城山1丁目

    - (192.39㎡)

    1,800万円

  3. 平塚市田村1丁目

    - (175.20㎡)

    2,280万円

  4. 逗子市小坪5丁目

    - (1297.56㎡)

    3,480万円

開成町中之名売地

お気軽にお問い合わせください

無料お問い合わせ

湘南人不動産

0466-47-4990

09:00~18:00

(休:火曜日・水曜日)