腰越3丁目 売地

2,480万円

神奈川県鎌倉市腰越3丁目

小田急江ノ島線「片瀬江ノ島」駅徒歩10分

江ノ島電鉄「腰越」駅徒歩6分

江ノ島電鉄「江ノ島」駅徒歩6分

価格
2,480万円
土地面積(坪数)
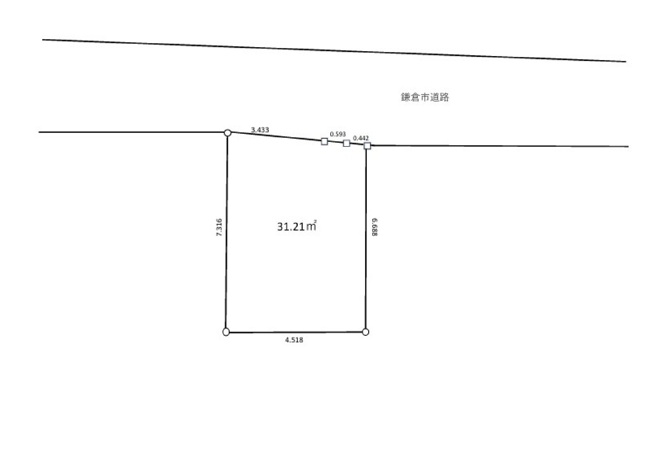
31.21㎡(9.44坪)
所在地
神奈川県鎌倉市腰越3丁目
築年
-(-)
駐車
-
交通

小田急江ノ島線片瀬江ノ島」駅 徒歩10分

江ノ島電鉄腰越」駅 徒歩6分

江ノ島電鉄江ノ島」駅 徒歩6分

腰越3丁目 売地の基本情報

物件名
腰越3丁目 売地
価格
2,480万円
土地面積
31.21㎡
築年月
-(-)
総区画数
-
所在地
神奈川県鎌倉市腰越3丁目
交通

小田急江ノ島線片瀬江ノ島」駅 徒歩10分

江ノ島電鉄腰越」駅 徒歩6分

江ノ島電鉄江ノ島」駅 徒歩6分

腰越3丁目 売地の詳細情報

設備条件
  • 海が近い
設備(その他)
    -
駐車場/月額
-/-
土地権利
所有権
国土法届出
不要
用途地域
第一種住居
区画数
- / -
管理形態
-
管理員の勤務形態
-
管理会社
-
取引態様
専任媒介
引渡し
相談
開発許可番号
-
備考
腰越3丁目 売地:小田急江ノ島線片瀬江ノ島駅にも近くて便利◎建築条件無しなので好きな建築業者に依頼することができます◎駅から徒歩10分圏内に立地しています◎周辺環境が整っており店舗用地として一押しの立地です◎快適な住環境の地区が多く、ニーズの高い鎌倉市エリアの不動産探しなら当社にお任せください◎地元のことを知り尽くしているので、お客様まで適切にアドバイスいたします(^^)

腰越3丁目 売地のコメント(おすすめポイント)

建築条件無しの土地ですので、自由度が高いです!土地面積は31.21㎡(公簿)です!こちらの店舗用地は周囲の環境も整っており、新しくお店を構える場所としていかがでしょうか!こちらの売地は、土地の購入を検討されている方にイチオシ!当社は地域の顧客満足度ナンバーワンを目指し、親切丁寧な対応を心がけております!不動産探しにおいて不明な点があれば、どのような些細なことでもぜひお気軽にお問い合わせください(*^_^*)

腰越3丁目 売地で募集中の物件

  1. 9.44坪 (31.21㎡)

    2,480万円(262.71万円/坪)

周辺施設

  • フレッシュストアーYAOMINEの画像

    スーパー

    フレッシュストアーYAOMINE

    215m(3分)

  • 高橋内科クリニックの画像

    内科

    高橋内科クリニック

    320m(4分)

  • ファミリーマート湘南江ノ島店の画像

    コンビニエンスストア

    ファミリーマート湘南江ノ島店

    324m(5分)

  • 鎌倉市立腰越小学校の画像

    小学校

    鎌倉市立腰越小学校

    459m(6分)

  • 鎌倉市立腰越保育園の画像

    保育園

    鎌倉市立腰越保育園

    504m(7分)

  • セブンイレブン 藤沢片瀬海岸1丁目店の画像

    コンビニエンスストア

    セブンイレブン 藤沢片瀬海岸1丁目店

    579m(8分)

  • ローソン片瀬海岸二丁目店の画像

    コンビニエンスストア

    ローソン片瀬海岸二丁目店

    716m(9分)

  • 片瀬山公園の画像

    公園

    片瀬山公園

    787m(10分)

  • 腰越中学校の画像

    中学校

    腰越中学校

    1065m(14分)

  • 新江ノ島水族館の画像

    水族館

    新江ノ島水族館

    1109m(14分)

近隣の物件

  1. 鎌倉市二階堂

    - (157.00㎡)

    3,990万円

  2. 鎌倉市材木座6丁目

    - (112.96㎡)

    4,280万円

  3. 鎌倉市由比ガ浜4丁目

    - (143.72㎡)

    9,780万円

  4. 鎌倉市今泉3丁目

    - (145.11㎡)

    3,780万円

腰越3丁目 売地

お気軽にお問い合わせください

無料お問い合わせ

湘南人不動産

0466-47-4990

09:00~18:00

(休:火曜日・水曜日)